TERRENO – LOCALITA’ PIAZZE – SOVERE SVR 001
**Terreno in Vendita – Opportunità Unica!** Scopri questo splendido…
120.000€
Via Cesare Battisti, 25043 Breno BS, Italia
Vendita
160.000€
ID Proprietà :
SC-23396
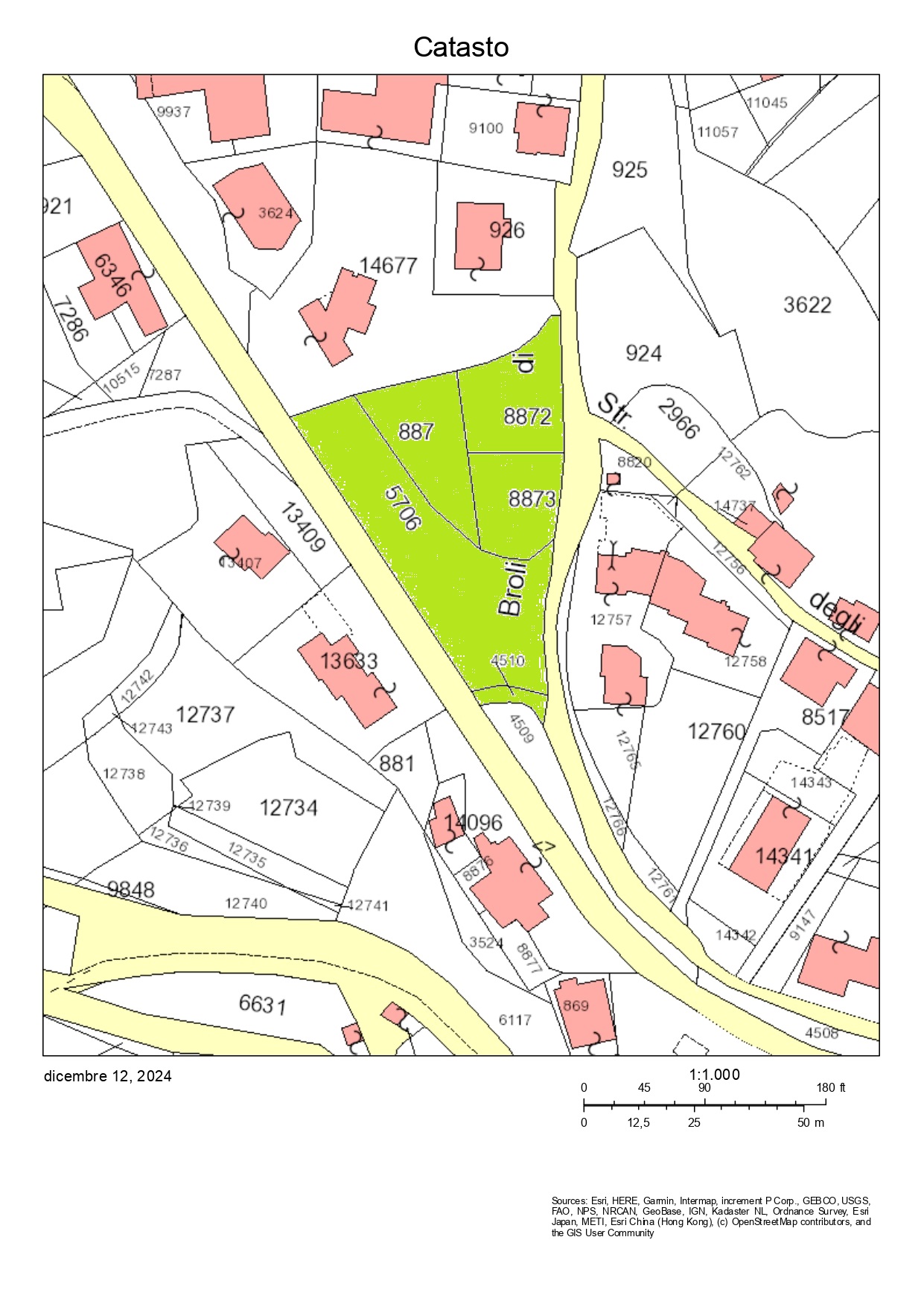
**Terreno in Vendita alle Porte di Breno**
Scopri un’opportunità unica con questo ampio lotto di terreno di 2.865 mq situato alle porte del paese, perfetto per chi desidera costruire in una zona residenziale consolidata. Il terreno è quasi completamente pianeggiante e offre una possibilità edificatoria di 0,5 mq/mq, consentendo la realizzazione di circa 750 mq di costruzione fuori terra. Ideale per famiglie o imprese edili, il terreno permette la costruzione di due villette singole o un piccolo borgo di casette a schiera. Una parte del terreno, pari a 1.365 mq, è destinata ad area verde vincolata a parcheggi pubblici, garantendo un ambiente tranquillo e ben servito. Con accesso diretto alla strada e dotato di tutte le utenze essenziali come acqua, luce, rete fognaria e gas naturale, questo terreno rappresenta un’opportunità imperdibile per chi cerca comodità e praticità in centro città. Non perdere l’occasione di investire in un terreno edificabile con tutte le caratteristiche per realizzare la casa dei tuoi sogni o un progetto immobiliare di successo!
**Terreno in Vendita – Opportunità Unica!** Scopri questo splendido…
120.000€
**In Vendita: Appartamento Ristrutturato negli Anni 2000 nel Cuore della…
62.000€ trattabili
VILLA SINGOLA DARFO BOARIO TERME – DBT 692